skip to main contentskip to footer

Quick links

  • Athletics
  • Make a gift
  • Student portal
  • Job openings
  • Employee directory
  • Apply
  • Costs
  • Explore
Explore U of I
  • Visit and virtual tour
  • Student life
  • Find your degree
  • Get around campus
  • Meet Moscow
  • Join our email list
  • Events
  • Join ZeeMee
  • Athletics
Academics
  • Academic calendar
  • Find a major
  • Academic support
  • Undergrad research opportunities
  • Meet the colleges
  • Online learning
  • Explore in-demand careers
Admissions
  • Meet your counselor
  • Deadlines
  • First-year students
  • Graduate students
  • Law students
  • Online students
  • Transfer students
  • International students
  • Admitted students
Financial aid
  • Cost of attendance
  • Steps for financial aid
  • FAFSA information
  • Financial aid FAQs
  • In-state scholarships
  • Out-of-state and international scholarships
  • Connect with financial aid
More
  • Student life
  • Research
  • Recreational offerings
  • Student resources
  • Alumni
  • Parents
  • Newsroom
  • Events
  • Sustainability initiatives
Find your passion - Explore majors Become a Vandal - Start an application
  • Student portal
  • Make a gift
  • Athletics
  • Directory
Events
Get jazzed
Attend concerts, workshops, student performances and special jazz events at the 59th annual Lionel Hampton Jazz Festival April 22-25.
See ‘The Comedy of Errors’
Enjoy a fast‑paced Shakespearean romp in Theatre Arts’ production of “The Comedy of Errors” opening April 30.
Get tickets for Finals Fest
Celebrate the end of the semester at Finals Fest May 7 with a live performance by Young the Giant and Rec Hall.
Events
News
New apartment housing is under construction at South Hill on the University of Idaho campus in Moscow, and is scheduled to open in August 2026. South Hill will offer modern, sustainable housing for graduate students, married couples and families at the University of Idaho. The development includes 451 total beds — 232 for graduate students and 219 for married and parenting students — to meet a range of housing needs. A commons community center will provide shared spaces for studying, collaboration and social engagement.
New graduate housing will soon welcome students
University of Idaho dedicates a new meat science facility
U of I dedicates new meat science laboratory
News
Support a Vandal - Make a gift
  • Apply
  • Costs
  • Explore
  • Explore
  • Academics
  • Admissions
  • Financial Aid
  • Student life
  • Research
  • Recreational offerings
  • Student resources
  • Alumni
  • Parents
  • Newsroom
  • Events
  • Sustainability initiatives

Aphids in woody ornamentals

Integrated pest management photos and files
  • Food Production Systems
  • Beef
  • Cereals
  • Dairy
  • Farm stress
  • AgBiz
  • Pest Management
  • Produce safety
  • Sheep goat
  • Soil health
  • Weed science
    • Food Production Systems
    • Beef
    • Cereals
    • Dairy
    • Farm stress
    • AgBiz
    • Pest Management
    • Produce safety
    • Sheep goat
    • Soil health
    • Weed science
    Food Production Systems
    • Beef
    • Cereals
    • Dairy
    • Farm stress
    • AgBiz
    • Pest Management
    • Produce safety
    • Sheep goat
    • Soil health
    • Weed science
    1. Home/
    2. Extension/
    3. Food Production Systems/
    4. Pest Management/
    5. Garden pests/
    6. Aphids woody ornamentals

    Common name

    Aphids (Aphididae)

    • Ash Leaf Curl/Leafcurl Ash Aphid (Prociphilus fraxinifolii)

    • Giant Conifer Aphid (Cinara sp.)

    • Bean Aphid (Aphis fabae)

    • Oleander/Milkweed Aphid (Aphis nerii)

    • Rose Aphid (Macrosiphum rosae)

    • Green Peach Aphid (Myzus persicae)

    • Melon/Cotton Aphid (Aphis gossypii)

    Host plant and damage

    Ash Leaf Curl/Leafcurl Ash Aphid (Prociphilus fraxinifolii)

    • Common hosts: Ash

    • Damage Notes

      • Feeding causes leaf curling and distortion, as well as the formation of pseudo-galls

    Giant Conifer Aphid (Cinara sp.)

    • Common hosts: Cedar, fir, pine, spruce, juniper

    • Damage Notes

      • Heavy infestations can cause yellowing and stunting in mature trees, and death in young seedlings

      • Honeydew can lead to sooty mold growth

      • Populations are usually largest in late spring

    Bean Aphid (Aphis fabae)

    • Common hosts: Woody shrubs, primarily viburnum

    • Damage Notes

      • Cause curling and distortion of young leaves

      • Form dense colonies, usually on the underside of leaves

    Oleander/Milkweed Aphid (Aphis nerii)

    • Common hosts: Oleander, milkweeds

    • Damage Notes

      • Can cause flowers and leaves to abort, or kill plants when colonies are dense

    Rose Aphid (Macrosiphum rosae)

    • Common hosts: Roses

    • Damage Notes

      • Aphids feed on new shoots and buds

      • Large colonies can cause reduced flower number and quality

    Green Peach Aphid (Myzus persicae)

    • Winter: plum, peach and apricot trees

    • Summer: hundreds of crops, vegetables, ornamentals and weeds

    • Move from winter to summer hosts in early summer

    • Damage Notes

      • Feeding can cause distortion in leaves, shoots, and fruits (particularly nectarines)

      • Large populations can stunt tree growth, and cause flowers to fall and young fruit to abort

      • Honeydew can lead to sooty mold growth

    Melon/Cotton Aphid (Aphis gossypii)

    • Common hosts: Various woody landscape ornamentals

    • Damage Notes

      • Feed on undersides of leaves, or tips of growing vines

      • Cause leaf yellowing and curling

    There are dozens of species of aphid in Idaho, but they are all generally oval or pear-shaped, soft-bodied and generally small, about 1/32-1/8 inch (1-3.5 mm), but some aphids such as the giant conifer aphid can reach up to 1/4 inch (6mm). Adult aphids can be either winged or wingless, whereas nymphs (immatures) are always wingless but resemble wingless adults, only smaller. Some aphids are covered in white waxy threads that make them appear fuzzy. Aphids have piercing/sucking mouthparts that they use to feed on plant sap. Aphids can be differentiated from other small insects by the presence of cornicles, small rear-facing “tailpipe” like appendages near the end of the abdomen, and sometimes by the presence of a sugary secretion called “honeydew” under the aphid colony. Aphids also do not usually move rapidly when disturbed, another trait that can help differentiate them from other small insects they might be confused with such as leafhoppers (Figures 1-5).

    Ash leaf curl (also known as leafcurl ash aphid) colony
    Figure 1 — Ash leaf curl (also known as leafcurl ash aphid) colony
    Giant conifer aphid colony
    Figure 2 — Giant conifer aphid colony
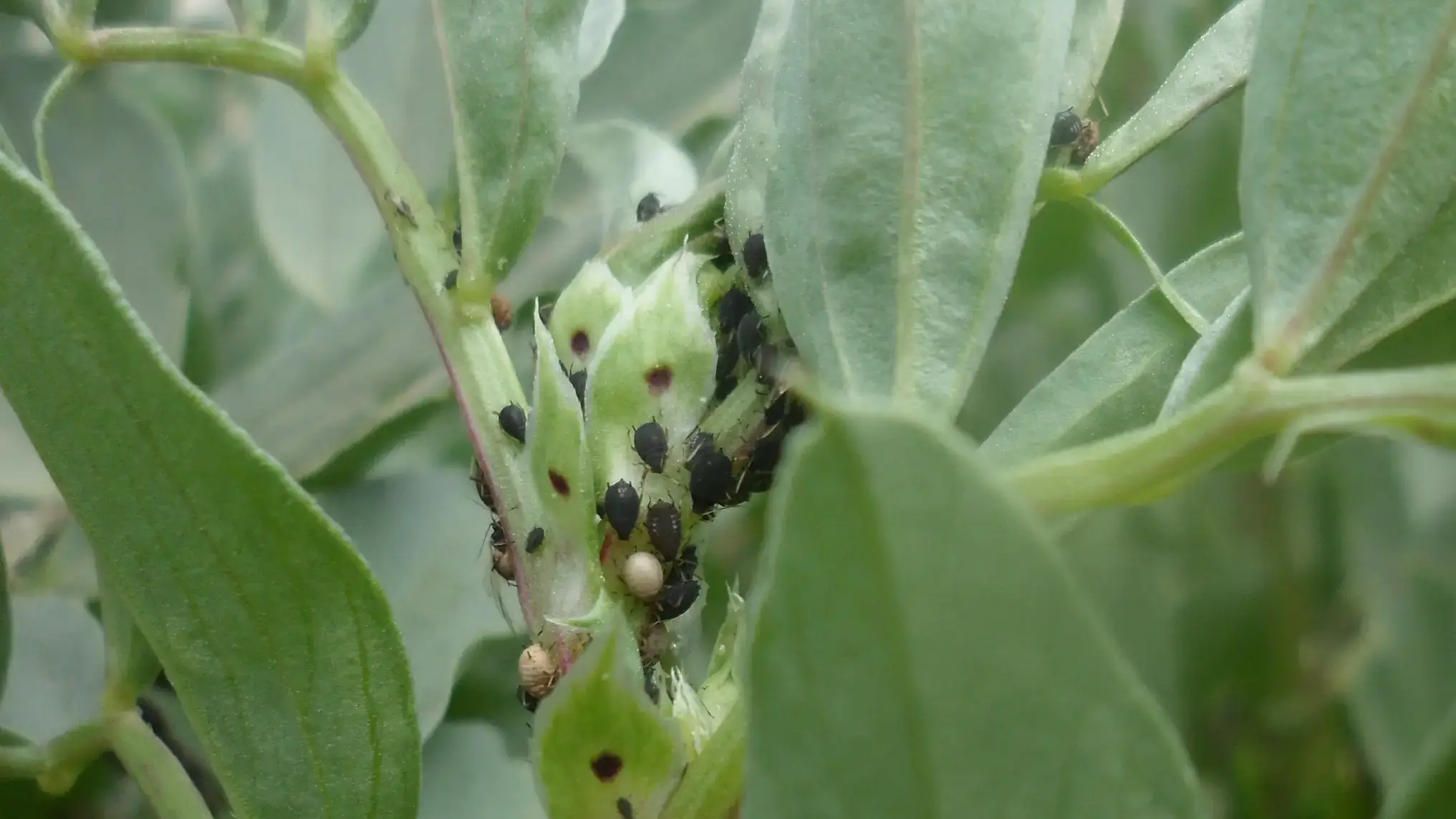
    Bean aphids, multiple life stages and parasitized “mummies”
    Figure 3 — Bean aphids, multiple life stages and parasitized “mummies”
    Oleander aphids (also known as milkweed aphids), adults and nymphs
    Figure 4 — Oleander aphids (also known as milkweed aphids), adults and nymphs
    Rose aphids, adults and nymphs
    Figure 5 — Rose aphids, adults and nymphs

    Biology

    Different aphid species have unique biologies. Some aphids are specialists, only able to feed on a single type of plant. Other aphids are generalists and are able to feed on a wide variety of plants. Often, it is these generalist feeders that are the most significant pests in gardens. Furthermore, while some aphid species remain on a single host plant species year-round, others have different winter host plants versus summer host plants.

    Aphid reproduction also differs between species, but most species undergo both sexual and asexual reproduction, depending on the time of year. Aphids reproduce rapidly, there will be individuals from multiple generations within a single colony at any one time. Aphids from different generations will look similar, with immature aphids (also called nymphs) just looking like miniature adults. Most often, you will see aphids with no wings, as these form the bulk of aphid colonies you might find on your plants. However, you may also find winged aphids. These are not a different species but are produced during certain times of the year to allow the aphids to disperse when colonies grow too large, or when it is necessary to move between summer and winter hosts.

    Damage

    Aphids feed by piercing plant tissues and sucking out sap containing vital nutrients. Most often, aphids prefer to feed on new, tender tissue and leaves, but they can also feed on stems, flowers, fruits and roots. Usually, plants can tolerate low to moderate numbers of aphids without suffering damage. However, aphids can cause damage if their populations become extremely large or if they infest plants when they are in a vulnerable stage, such as the seedling stage.

    Aphid feeding damage can manifest as yellowed or curled leaves, and overall distorted growth and plant stunting (Figure 6-7). Aphid infestations can also lead to damage when their sugary excretion, called honeydew, attracts other pests or leads to growth of sooty mold fungi.

    Many plants are also susceptible to aphid-transmitted viruses that can cause significant damage and yield loss. Symptoms differ among viruses, but often include yellowing, mottling or curling of leaves, and overall plant stunting. Unfortunately, aphid-transmitted viruses can be hard to control once both aphids and virus are present. It takes an aphid only minutes to transmit virus to a host plant, so insecticides cannot work rapidly enough to avoid spread of virus among susceptible hosts.

    Severe cabbage aphid infestation causing deformation and stunting in canola plant, a summer host
    Figure 6 — Severe cabbage aphid infestation causing deformation and stunting in canola plant, a summer host
    Green peach aphid causing leaf curling on winter host, a peach tree
    Figure 7 — Green peach aphid causing leaf curling on winter host, a peach tree

    Monitoring

    When caught early, aphid infestations are much easier to manage, so check your plants frequently. Scout for aphids at least twice a week, paying particularly close attention during the late spring when populations tend to grow rapidly. Aphids are most often found on leaves but can be on stems and flowers as well. When checking leaves, make sure to check the undersides, as many aphid species prefer to build colonies there.

    When scouting for aphids, look for beneficial insects such as ladybugs, lacewings and syrphid fly larvae, and aphid “mummies” that are a sign that parasitoids are at work. Also look for aphids that have been killed by disease or fungi. These aphids may appear bloated, off-color, flattened to the leaf surface or fuzzy. The presence of predators, parasitoids, disease or beneficial fungi may be sufficient to reduce aphid numbers significantly within a few days, mitigating the need for other control measures.

    Management

    Primary management tactics

    Avoiding the use of broad-spectrum insecticides can help maintain populations of natural enemies that keep aphid numbers from reaching damaging levels. When considering the use of more aggressive control measures, remember that mature plants can usually tolerate mild to moderate aphid infestation. However, if more aggressive measures are deemed necessary, consider using strong sprays of water wash aphids off infested plants or pruning out infested leaves when infestations are highly localized. In cases where other control measures fail, and chemical means are necessary, insecticidal soaps and horticultural oils are usually the best choice to reduce aphid populations without undue risk to beneficial insects.

    Physical
    • Use strong sprays of water to knock aphids off plants, when plant sturdiness allows
    • Use seedling covers to reduce damage to young, vulnerable plants and reduce virus transmission
    Cultural
    • Check area for potential sources of aphids including many types of weeds, mustard plants, and crabgrass and remove these early in the season
    • Avoid excess fertilization with nitrogen, which fosters aphid population growth
    Biological

    Avoid the use of broad-spectrum pesticides to conserve natural enemies of aphids such as:

    • Generalist including predators lady beetles (adults and larvae), lacewing larvae, and soldier beetles
    • Parasitic wasps that lay their eggs within aphids, where the developing larvae kill the aphid, leaving “mummies” (Figure 8)
    Green peach aphid “mummies,” winged and wingless form, that have been attacked by parasitoid
    Figure 8 — Green peach aphid “mummies,” winged and wingless form, that have been attacked by parasitoid.
    Chemical
    • Insecticidal soaps, horticultural oils or plant derived oils such as neem oil can often help control aphids, while posing minimal risk to beneficial insects, people and pets
    • Do not apply soaps or oils when plants are drought stressed or temperatures exceed 90 degrees Fahrenheit

    If using synthetic insecticides, keep in mind that:

    • Broad spectrum insecticides may remove natural enemies, leading to aphid outbreaks later in the season
    • Multiple applications of the same pesticide may lead to insecticide resistance
    • Recommendations for pesticides to use in the management of aphids can be found on the PNW Pest Management Handbooks website.

    Pesticide warning

    Always read and follow the instructions printed on the pesticide label. The pesticide recommendations in this University of Idaho webpage do not substitute for instructions on the label. Pesticide laws and labels change frequently and may have changed since this publication was written. Some pesticides may have been withdrawn or had certain uses prohibited. Use pesticides with care. Do not use a pesticide unless the specific plant, animal or other application site is specifically listed on the label. Store pesticides in their original containers and keep them out of the reach of children, pets and livestock.

    Trade names — To simplify information, trade names have been used. No endorsement of named products is intended nor is criticism implied of similar products not mentioned.

    Groundwater — To protect groundwater, when there is a choice of pesticides, the applicator should use the product least likely to leach.

    Desiree Wickwar, entomologist, IPM project manager
    2023

    Photo credit
    • Figures 1, 2, 5-8. Whitney Cranshaw, Colorado State University, Bugwood.org

    • Figure 3. Mourad Louadfel, Retired, Bugwood.org

    • Figure 4. Joseph Berger, Bugwood.org

    Footer

    Ready to apply?

    Start your application
    Joe_Vandal_rgb_2026.svg

    Footer Navigation

    Resources

    • Jobs
    • Privacy statement
    • Web accessibility
    • Title IX

    Campus

    • Directory
    • Map
    • Safety
    • Events

    Information For

    • Prospective students
    • Current students
    • Parents
    • Employees
    Logo

    University of Idaho

    875 Perimeter Drive, Moscow, ID 83844

    208-885-6111

    info@uidaho.edu

    Engage with U of I on Facebook. Get the latest U of I updates on X. Catch up with U of I on Instagram. Grow your professional network by connecting with U of I on LinkedIn. Interact with University of Idaho's video content on YouTube. Join the University of Idaho ZeeMee conversation.
    Support a Vandal - Make a gift
    • Athletics
    • News
    • Policies

    © 2026 University of Idaho